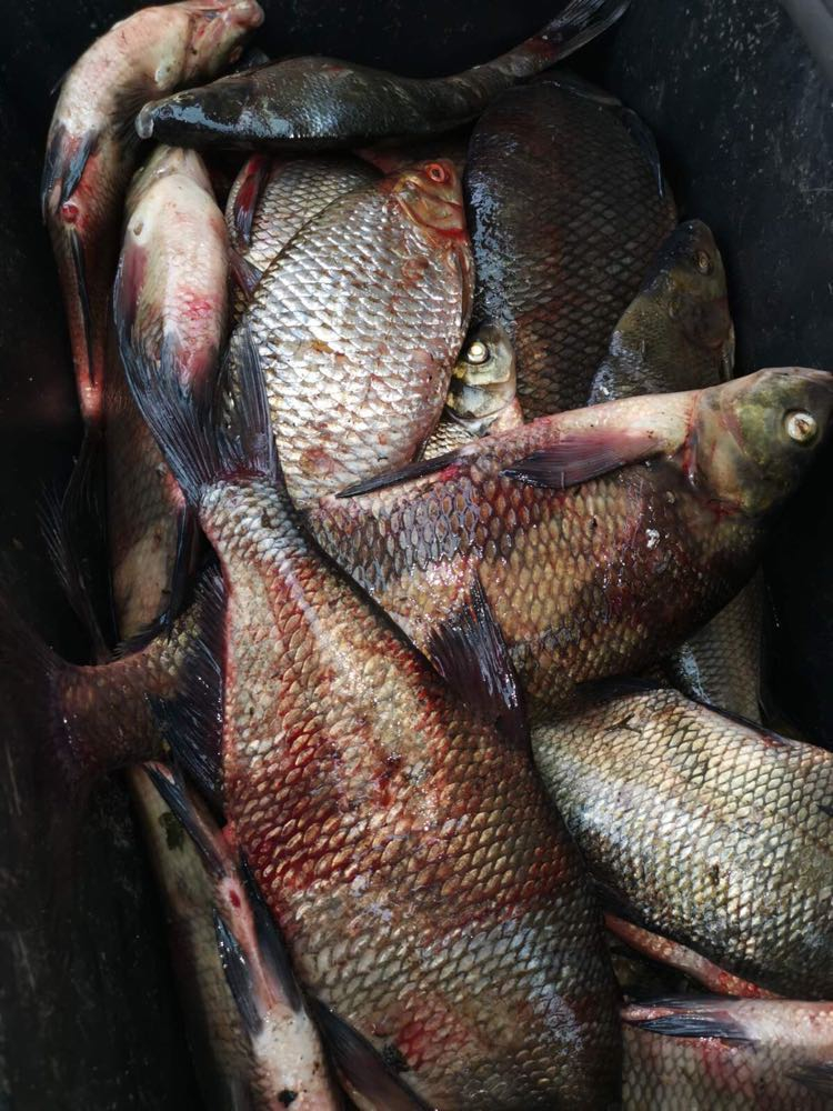
Служители от сектор „РК-Добрич“ извършиха планирана проверка на езеро „Шабла“ с патрулна лодка на ИАРА, съобщават от Агенцията. По време на проверката са установени и извадени от работно положение 300 м хрилни мрежи. Уловената в тях риба 26 кг от вида платика е освободена и върната незабавно във водата.


.gif)








.jpg)





1 USD = BGN
1 GBP = BGN
1 CHF = BGN
